Hi and thanks to all who read.
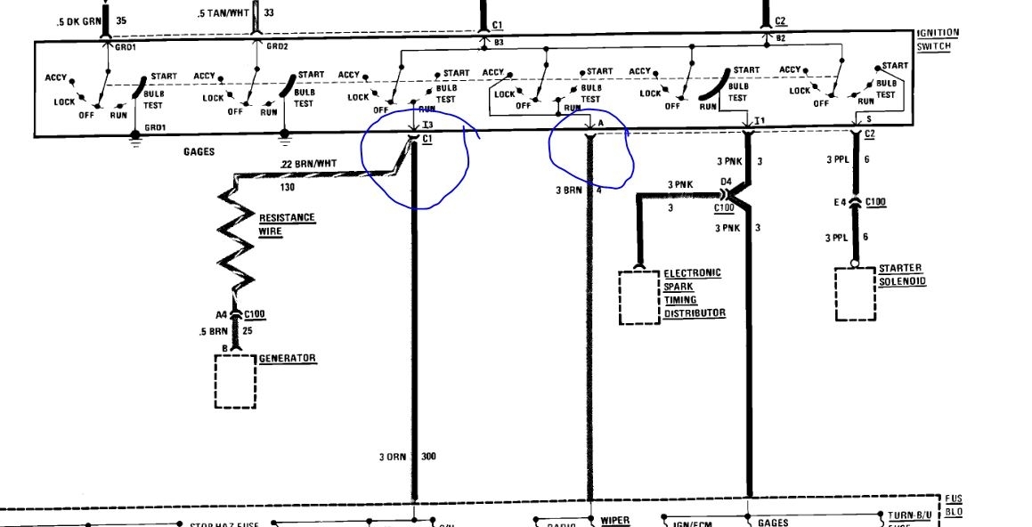
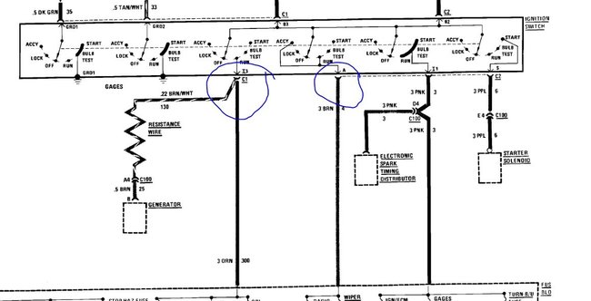
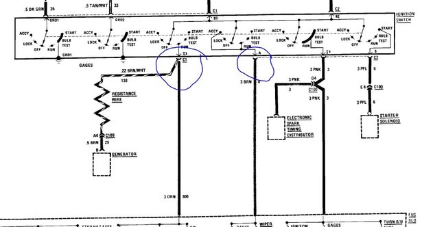
I'm going to be wiring in a secondary fusebox that I'm going to use for things like my choke, radio, amplifiers, new dome lights, etc and I'm wondering where I should wire the positive to, I only want it to have power when I turn the key and was thinking about hooking it to the accessory wire on the old fusebox but I'm worried that there might end up being an issue with that. Just looking for ideas to find a better wiring location.
I'm going to be wiring in a secondary fusebox that I'm going to use for things like my choke, radio, amplifiers, new dome lights, etc and I'm wondering where I should wire the positive to, I only want it to have power when I turn the key and was thinking about hooking it to the accessory wire on the old fusebox but I'm worried that there might end up being an issue with that. Just looking for ideas to find a better wiring location.
Mar 30, 2020 at 8:42 AM

