Cooling fans

1992 OLDSMOBILE 88
116,000 MILES • 3.8L • 6 CYL • 2WD • AUTOMATIC
Avatar
THUNDE00
  • MEMBER
  • 4 POSTS
Will a bad crankshaft sensor prevent the cooling fans from kicking on?
Sep 11, 2019 at 5:46 AM
Advertisement
Avatar
ASEMASTER6371
  • CERTIFIED EXPERT
  • 52,796 POSTS
Good morning.

No, the fans work on a completely different control than the cranks sensor.

What is the issue?

Roy
Sep 11, 2019 at 7:28 AM
Avatar
THUNDE00
  • MEMBER
  • 4 POSTS
Fans are not engaging, speedometer doesn't register and A/C compressor won't kick on. however, if you drive it every now and then they will all try to engage, but won't stay on. Replaced the relays, thinking electrical but no tell tale signs.
Sep 11, 2019 at 7:44 AM
Advertisement
Avatar
ASEMASTER6371
  • CERTIFIED EXPERT
  • 52,796 POSTS
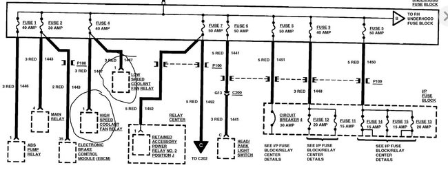
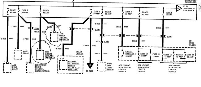
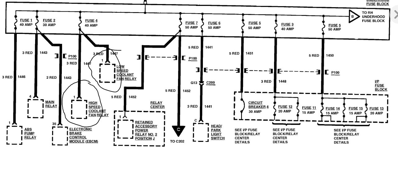
Okay, the one thing that is in common to all these issues is power. The power comes from the fuse block. The under hood fuse block feeds the cooling fans the one inside the car feeds the other 2 systems. The power for the Ac and the speedometer comes from the under hood fuse block to the inside fuse block.

Run the engine and open the hood. Hit on the fuse block under the hood and see if anything start to work. It may be a bad fuse block.

Also, why did you ask about the crank sensor?



Roy
Sep 11, 2019 at 8:00 AM
Avatar
THUNDE00
  • MEMBER
  • 4 POSTS
Stalling and idling a little rough was told sensor, I will try the fuse block. Thank you
Sep 11, 2019 at 8:13 AM
Avatar
ASEMASTER6371
  • CERTIFIED EXPERT
  • 52,796 POSTS
You are welcome.

The crank sensor will not cause rough running at all.

https://www.2carpros.com/articles/engine-surges

Roy
Sep 11, 2019 at 8:17 AM
Avatar
THUNDE00
  • MEMBER
  • 4 POSTS
Okay, thank you that gives me a direction at least.
Sep 11, 2019 at 8:35 AM
Avatar
ASEMASTER6371
  • CERTIFIED EXPERT
  • 52,796 POSTS
You are welcome.

Always glad to help.

Roy
Sep 11, 2019 at 9:06 AM